Planning Commission Agenda, 2025-10-09
The municipal agenda for the Planning Commission meeting on 2025-10-09 is 👉here👈
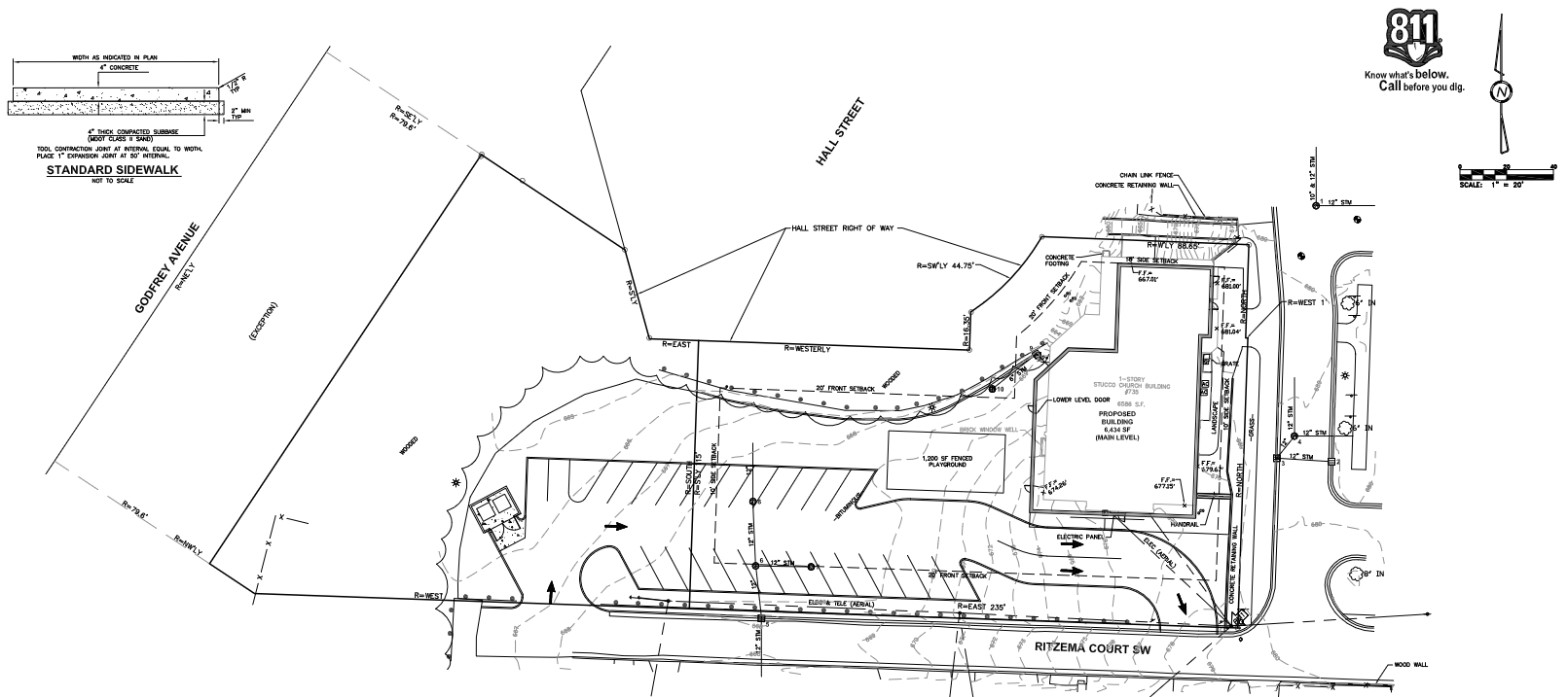
735 Ritzema Ct. SW
The is a request for a Special Land Use (SLU) for the operation of a childcare and social services facility which is a use which requires special dispensation with the properties LDR (Low-Density Residential) zone district.
Aerial
| Zoning
| Street View
|
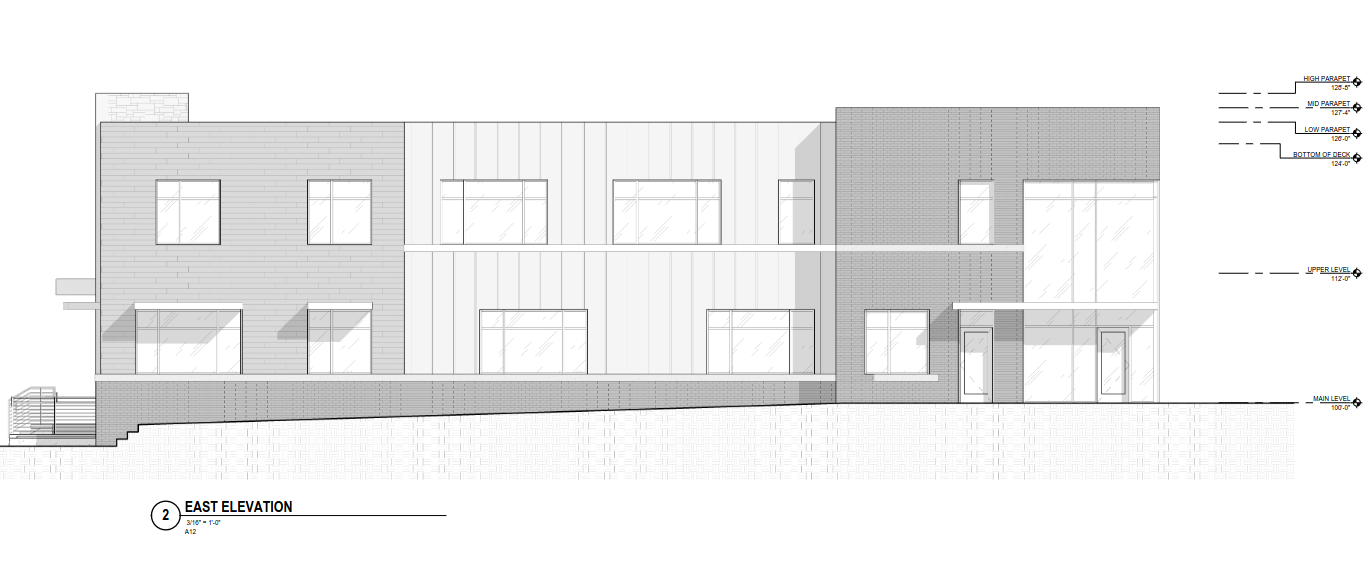
The site has, historically, had primarily institutional uses but is currently vacant. The determination of the current owner is that the building is beyond its useful life. The proposal is to demolish the current structure, remove the current twenty-eight (28) space parking lot, and construct a three story building, new parking lot, and a playground. The third floor will be office space for the Hispanic Center of West Michigan [the applicant], the second floor space for classrooms and other professional development uses, and the child care center on the first floor. The child care facility would operate from 7:00am to 6:00pm Monday through Friday and the other floors Monday through Friday from 9:00am to 5:00pm.
The arbitrary parking requirements for the community center use are one space per 1,000sq/ft with one (1) additional space for each classroom, auditorium, or office; a requirement of twenty nine (29) spaces for that use (10,000sq/ft / 1,000sq/ft + 19 for each room). Additionally the child care use requires fifteen (15) parking spaces - two parking space for every eight students and staff - having a capacity of fifty (50) students [1 per 8 students plus 1 per employee]. The total parking requirement, calculated from the zoning ordinances entirely arbitrary rules, is forty four (44) parking spaces [15 + 29 = 44]. Thirty one (31) parking spaces will be constructed on the site resulting in a parking deficit of thirteen (13) spaces.
Site
| |
South Elevation
|
North Elevation
|
East Elevation
|
West Elevation
|
The Hispanic Center of West Michigan will be relocating to this facility from their current facility ~700 ft away, at the intersection of Hall St and Cesar E.Chavez Ave SW (1204 Cesar E. Chavez Ave SW).
The playground will be fenced, and exclusively for use by the childcare facility.
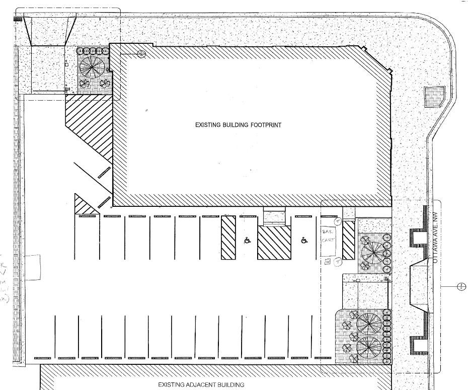
45 Ottawa Avenue NW
Aerial
| Zoning
|
Gimme's Par & Grill is requesting a Special Land Use for (1) providing public parking and (2) to host outdoor activities including alcohol service. Basically, for permission to make use of their private property - a parking lot - for economic purposes. According to the city's ponderous zoning ordinances even parking lots in zones which have no parking requirements - such as CC (City Center, aka: downtown) - are "accessory" to the primary use of a property; in this case a golf themed bar and any use other than storage of automobiles for bar patrons requires special dispensation.
The owner provides a monthly stipend for employees to cover transportation related expenses (either parking or public transportation) and the parking area is currently unused by employees. Currently the lot operates all day (24 hours) as an Air Garage lot, with special event prices equivalent to those charged by city lots. The owner intends to take over the operation of the for-pay parking lot upon approval of the SLU.
Note: The existing use of the parking lot, via Air Garage, is a violation of the accessory use of the property. The SLU will make the use of the lot for public parking (a non-accessory use) a permitted use.
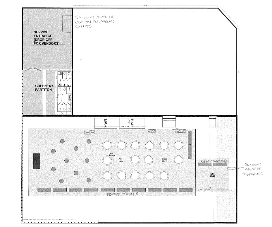
Additionally the owner will utilize the parking lot for up to ten (10) outdoor events a year including food related festivals, holiday events (Halloween, St. Patrick's Day, etc...) and sports viewing events such as the Kentucky Derby. Outdoor events may include DJs and live music. All outdoor events will take place during the regular business ours of the establishment which closed at 10:00pm Sunday - Thursday and 11:45pm on Friday and Saturday.
Site
| Event Plan
|
220 Wealthy Street SE
It is autumn in Grand Rapids, MI; which means a hospital is building a parking ramp.
And that hospital, of course, wants to be exempted from the requirements of the city's Master Plan and any and all other plans which may impinge on their vision of how to conveniently provide their not-for-profit services to the community to which they do not pay taxes.
Aerial (transit stops highlighted)
| Zoning
|
The site in question requires "Active Use" on the ground floor of any structure; including a parking ramp.
Trinity Heath / Mary Free Bed is claiming that due to how they have rendered the surrounding blocks inhospitable to active use - squatting on properties, with little to no redevelopment. for over a decade will do that - they should be exempt from the requirements which would apply to anyone else having less political and financial clout. This is very similar to the blight which Corewell Health's "investment" has brought to the Monroe North neighborhood. A key difference may be that the damage Mary Free Bed has inflicted on this corner of the urban fabric, over so many years, is of such an advanced state that reasonable people may be consider it terminal.
The Trinity Health campus on Jefferson Ave can be held up as an example of what Corewell Health must not be permitted to do to Monroe North. Trinity Health is likely correct, no active use would be viable on that corridor . . . well, not unless the "non-profit" were to subsidize it from their largess, doing something to create value to the corner of the city they dominate. When I was young and innocent I believed that non-profits, in exchange for relief from the terrible burden of taxation, were obligated to community benefit. I know better now.
The residential properties immediately to the south on Jefferson Ave are not tax-exempt; they are subsidizing the operations of Trinity Health's Grand Rapids campus. They do not have a choice in the matter.
Note: Trinity Health, a tax-exempt "non-profit", had net assets valued at roughly $1,100,000,000 in 2022. CEO Michael Slubowski receives annual compensation in excess of $4,000,000. Trinity Health has fourteen (14) executives with annual compensation in excess of $1,000,000.
Imagine if Trinity Health, rather than squatting on deteriorating properties, had left those properties in the market were they could have been developed as housing, retail, and services around the employment center which the hospital is. This neighborhood would look very different. It would also be generating tax revenue for the city, schools, libraries, and the Rapid.
But, it is all parking lots today. Ironic, as these "non-profits" are all institutions concerned with health.













